family CERAMBYCIDAE Latreille, 1802
subfamily CERAMBYCINAE Latreille, 1802
tribe Clytini Mulsant, 1839
genus Pseudosphegestes Reitter, 1913
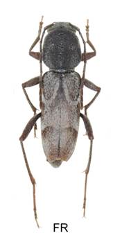
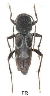
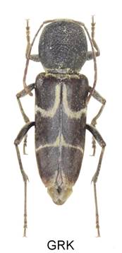
Pseudosphegestes cinerea (Laporte & Gory, 1936)







Velikost 9-15 mm.
Bionomie. Teplé oblasti jihozápadní Evropy. Velmi lokální a vzácný druh, uváděný ze střední Evropy pouze z Německa. Vývoj v odumírajícím nebo odumřelém dřevě větví nebo slabších kmínků. Dřevo může být napadeno i opakovaně, takže bývá silně rozežrané. Imaga pobíhají velmi rychle po kůře. VI-VIII. Nejdou na květy.
Živné rostliny. Zjištěn pouze na dubu (Quercus).
Variabilita. Určitá variabilita je v redukci příčných šedých pásek a v chloupkování povrchu krovek u samců, takže značná část krovek bývá pokryta šedým hustým, nebo řídkým tomentem.
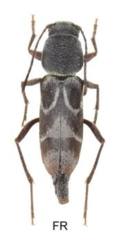
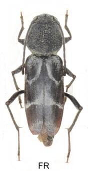
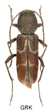
Pseudosphegestes bergeri Sláma, 1982








Pseudosphegestes cinerea Laporte & Gory, 1936 FR Quercus


Pseudosphegestes bergeri Sláma, 1982 GRK Quercus
Malé otvory jsou Pseudosphegestes bergeri, velké Isotomus jarmilae
